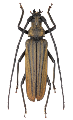
Aegolipton meiyingae
Drumont & Bi, 2014
28-43,5 mm
Distribution :
Chine (Hainan)
Holotype - Photo BI © Lambilliionea