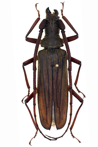
Aegolipton fimbriatum
(Lansberge, 1884)
34,1-49,5 mm
Distribution :
Malaisie (Borneo Sabah)
Indonésie (Sumatra)